


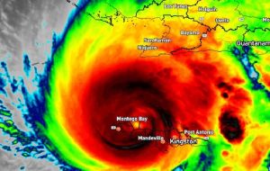
Este no es momento de ser valientes... ¡No apuesten contra Melissa! Es una apuesta que no podemos ganar, insistió McKenzie El huracán Melissa, una catastrófica tormenta de categoría 5, azota este martes la costa sur de Jamaica, provocando lluvias torrenciales y vientos devastadores, mientras las autoridades advierten que el potente sistema podría destruir la infraestructura del país.
Con vientos máximos sostenidos de 290 km/h (180 mph), Melissa es la tormenta más fuerte que jamás haya amenazado la isla, según el Centro Nacional de Huracanes de Estados Unidos (NHC). El último informe indicaba que se encontraba a solo 80 kilómetros al sur-sureste de Negril.
El primer ministro jamaicano, Andrew Holness, emitió una severa advertencia el lunes sobre el potencial destructivo de la tormenta. No creo que haya ninguna infraestructura en esta región que pueda resistir un huracán de categoría 5, declaró Holness. Anne-Claire Fontan, de la Organización Meteorológica Mundial, calificó a Melissa como la tormenta del siglo hasta ahora para Jamaica.
El empeoramiento de las condiciones meteorológicas en el Caribe ya se ha cobrado siete vidas: tres en Jamaica, tres en Haití y una en República Dominicana. El Centro Nacional de Huracanes (NHC) advierte que es probable que las marejadas ciclónicas y las lluvias torrenciales causen inundaciones potencialmente mortales y numerosos deslizamientos de tierra. El huracán avanza lentamente, un factor que, según la Cruz Roja, aumenta la ansiedad y el riesgo de catástrofe debido a la exposición prolongada a fuertes lluvias, que podrían alcanzar hasta un metro de altura en algunas zonas.
A pesar del peligro extremo, las autoridades se enfrentan a una negativa generalizada a las órdenes de evacuación. El ministro de Gobierno Local, Desmond McKenzie, informó a última hora del lunes que muchos de los aproximadamente 880 refugios de la isla seguían vacíos.
Sin embargo, para la mañana del martes, el número de evacuados había ascendido a casi 6.000, según el ministro McKenzie, quien habló mientras la tormenta azotaba la costa. Informó que las autoridades estaban recibiendo llamadas para solicitar transporte a refugios en zonas como St. Elizabeth, la parroquia donde se espera que Melissa toque tierra antes de seguir su rumbo noreste por la isla.
Este no es momento de ser valientes... ¡No apuesten contra Melissa! Es una apuesta que no podemos ganar, insistió McKenzie. El gobierno estima que más de 50.000 personas podrían verse desplazadas por el impacto de la tormenta.
Aunque instaron a la gente a trasladarse a zonas altas, las autoridades encontraron resistencia. El plomero Roy Brown declaró a la AFP que no se movería, citando malas experiencias en refugios gubernamentales durante tormentas anteriores. No creo que pueda escapar de la muerte, declaró.
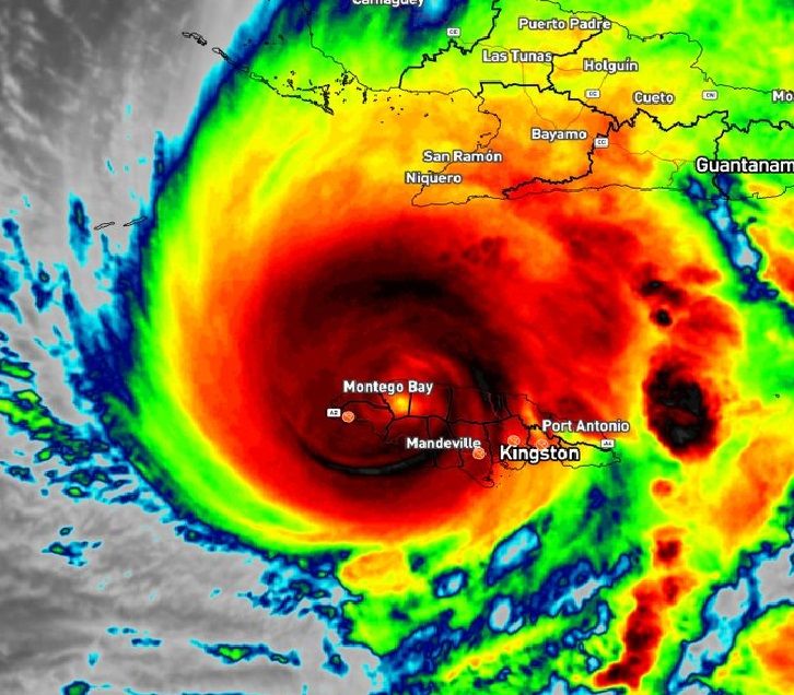
Tras impactar Jamaica, se prevé que Melissa llegue al extremo oriental de Cuba más tarde el martes. El Consejo de Defensa Nacional ha declarado el estado de alerta en seis provincias orientales, movilizando la evacuación de aproximadamente 650.000 personas. Se han suspendido las escuelas y los trabajos no esenciales mientras los residentes aseguran sus hogares.
Los científicos vinculan la gravedad de la tormenta al cambio climático inducido por el hombre. El meteorólogo Kerry Emanuel explicó que el calentamiento global está aumentando la frecuencia de tormentas que se intensifican rápidamente, como Melissa, y son capaces de producir lluvias extremas. El agua mata a mucha más gente que el viento, explicó.
En medio de la tormenta, las autoridades están preparando el escenario inmediato posterior. El ministro de Transporte, Daryl Vaz, informó que se están realizando evaluaciones para reabrir el Aeropuerto Internacional Norman Manley en Kingston el jueves 30 de octubre y recibir suministros de emergencia.
Si bien la situación en el Aeropuerto Internacional Sangster en Montego Bay sigue siendo incierta debido a la posibilidad de daños graves por la tormenta (que se espera que pase allí como categoría 3), Vaz señaló que el Aeropuerto Internacional Ian Fleming, más pequeño, se está considerando como una opción de contingencia para ciertos tipos de aeronaves.
El ministro McKenzie informó que ya se están produciendo bloqueos de carreteras y deslizamientos de tierra en todo el país a medida que Melissa azota la isla.